Działka, ul. Do Huty
Do Huty, Tarnów, małopolskie
- 600 zł
- 1 200 m²
- 0,50 zł/m²
Maria Kramarczuk
Skontaktuj się
Działka, ul. Do Huty
Do Huty, Tarnów, małopolskie
zaktualizowane:
13 marca 2026
Działka, ul. Do Huty
Zaktualizowane: 13 marca 2026
600 zł 1 200 m² 0,50 zł/m²
Warto zadzwonić
wysokie zainteresowanie
-
-
-
-
Zobacz na mapie
Rodzaj działki:
-Dojazd:
-Kształt:
-Media:
-Szczegóły ogłoszenia
- Typ oferty: wydzierżawię działkę
- Czynsz dzierżawny: 600 zł (0,50 zł/m²)
- Forma własności: własność
- Działka: 1 200 m²
- Źródło: biuro nieruchomości: POLSKIE KOLEJE PAŃSTWOWE SPÓŁKA AKCYJNA, zaktualizowane: 13.03.2026
- numer ogłoszenia: 8155
Lokalizacja
- Adres: Do Huty, Tarnów, małopolskie
Opis nieruchomości
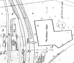
PKP SA Oddział Gospodarowania Nieruchomościami w Krakowie informuje o planowanym najmie części nieruchomości gruntowej, oznaczonej nr 25/14 obr. 297 Tarnów. Powierzchnia 1200m2 stanowi teren nieutwardzony, porośnięty trawą, częściowo z zaniżeniami. Na przedmiotowym terenie zlokalizowany jest odcinek czynnego ciepłociągu MPEC. Dojazd do nieruchomości odbywa się poprzez teren PKP drogą wewnętrzną oraz poprzez nieczynne tory. (...)
517 770...
517 770 971

